Loading...

Lancaster, CA, 93536 • 93536 • Los Angeles County
-$25,000 since Jan 19, 2026
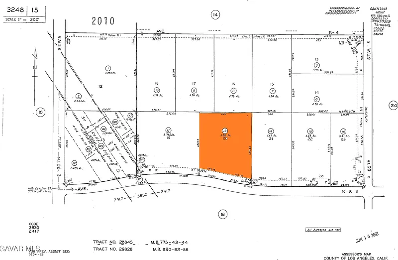
5.8 acLot
Demand and pricing signals for this listing
14 views
People checking out this listing
4 saves
Buyers have saved this home
266 days on market
Established listing
Lot
Almost 6 acres! West Lancaster Investment parcel. Access on Avenue K8. With A25 zoning there are many uses for this level land. Residential, Agriculture, Equestrian or Kennels!
Based on current rates
Est. 6.75% rate · 30yr fixed · $40,000 loan
Full calculator →Key facts and listing details
2 categories of property features
Market data and value estimates
3 schools rated nearby
Lancaster, CA, 93536
2 events
Local context around this listing
Lancaster, CA • Los Angeles County
Nearby neighborhoods
Nearby cities
Nearby zip codes
IDX information is provided exclusively for personal, non-commercial use, and may not be used for any purpose other than to identify prospective properties consumers may be interested in purchasing. Information is deemed reliable but not guaranteed. The listing broker’s offer of compensation is made only to participants of the MLS where the listing is filed.
No obligation · Same-day response