Loading...

Cuba, NY, 14727 • 14727 • Allegany County
This home is getting attention
Listed 49 days ago · 9 views
Demand and pricing signals for this listing
9 views
People checking out this listing
49 days on market
Established listing
This home ranks in the top 20% of listings most likely to go under contract soon, based on market activity and demand signals.
Want the full market analysis?
Get the detailed selling prediction score, comparable sales data, and price trend forecast for this property.
Free · Delivered to your inbox in minutes
Lot
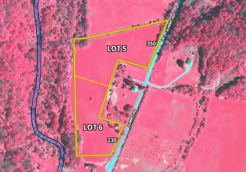
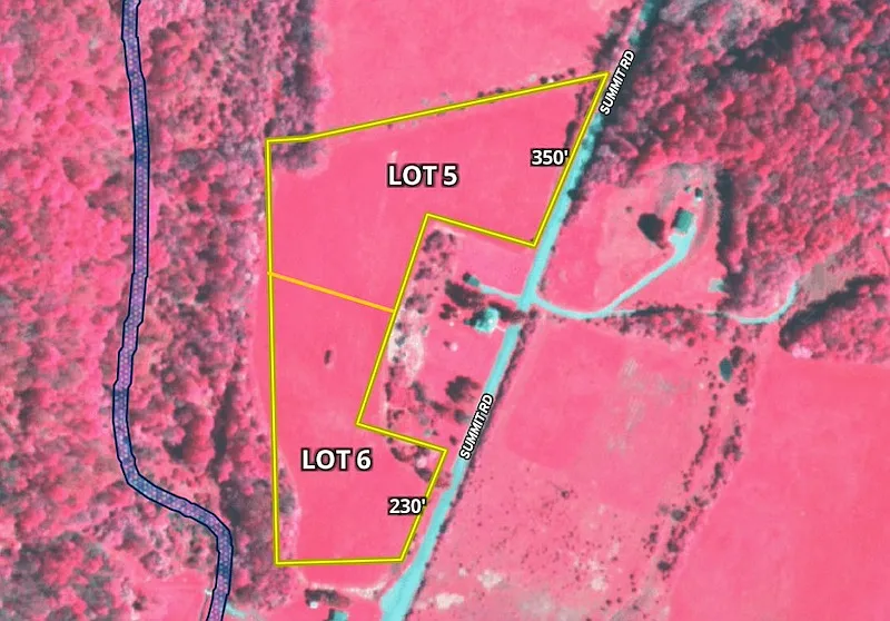
Just minutes east of Cuba and minutes west of Friendship, this lot is one of two western exposure lots perched on the crown of a hill, offering views of pastures and hills to the west. Imagine mornings overlooking fall color or evenings enjoying sunsets on this quiet road. The road frontage is maintained, and electric service and internet are available at the road. Currently, the property has been an ag field, so no meaningful landscaping is required to plan your dream home location. The property is gently sloped and high and dry of wetlands, where you might consider building a home. Just 4.55 miles from the charming town of Cuba and 2.93 miles to the town of Friendship, all of your conveniences are close by. If you are a commuter, the Southern Tier Expressway (I-86) is merely 3.1 miles away to larger city centers like Olean and Hornell. If hobby farming or if you're looking to start a farmette, combining both lots might be considered as well. Call today for more details or to schedule a showing! ADDITIONAL INFORMATION: Timber and GMO rights convey, Pastures, Electric at the road, 4.55 miles to Cuba, 2.93 miles to Friendship, 3.1 miles to I-86. Taxes $TBD. Building permits are subject to buyers approval from town authorities. Buyer agent must be present on all showings. Do not send clients out without accompanying them. Disclaimer: Map illustrations are for reference purposes only and not the representations of the Listing agent or brokerage Whitetail Properties Real Estate LLC. Illustrations are provided by Land ID. Parties should be advised to confirm. Illustrations with licensed professional service providers.
Based on current rates
Est. 6.75% rate · 30yr fixed · $19,920 loan
Full calculator →Key facts and listing details
Market data and value estimates
3 schools rated nearby
Cuba, NY, 14727
1 event
Local context around this listing
Cuba, NY • Allegany County
Nearby cities
Nearby zip codes
No obligation · Same-day response