Loading...

Cuba, NY, 14727 • 14727 • Allegany County
This home is getting attention
Listed 50 days ago · 12 views · 1 saves
Demand and pricing signals for this listing
12 views
People checking out this listing
1 saves
Buyers have saved this home
50 days on market
Established listing
This home ranks in the top 17% of listings most likely to go under contract soon, based on market activity and demand signals.
Want the full market analysis?
Get the detailed selling prediction score, comparable sales data, and price trend forecast for this property.
Free · Delivered to your inbox in minutes
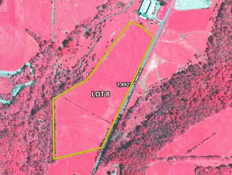
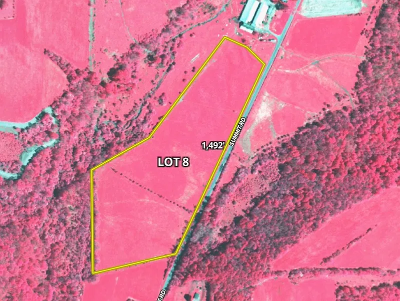
Lot
This 22-acre property offers an excellent opportunity for agricultural use, future development, or a country retreat, featuring all prime tillable acreage with no wetlands and two productive fields currently in hay production. (2025 season) The land is well laid out for efficient farming while also offering flexibility for a variety of other uses. The upper field provides an outstanding setting for a home, barn, or cabin, with an elevated location that lends itself well to scenic views and convenient access. Whether your plans include expanding an existing farm operation, establishing a rural residence, or creating a small recreational getaway, this property offers the space and versatility to bring those plans to life. For buyers looking to increase their tillable acreage or investment footprint, there is additional potential through two adjacent sister lots, identified as Lot #9 and Lot #10, which can be paired with this property to create a larger, contiguous land holding. This makes the property especially attractive for agricultural expansion or long-term land investment. With productive soils, an efficient field layout, and multiple-use possibilities, this property stands out as a rare offering for those seeking quality farmland with future building potential. Call today for more details or to schedule a showing! ADDITIONAL INFORMATION: Timber and GMO rights convey, Tillable acres, Electric at the road, 4.55 miles to Cuba, 2.93 miles to Friendship, 3.1 miles to I-86. Taxes $TBD. Buyer agent must be present on all showings. Do not send clients out without accompanying them. Disclaimer: Map illustrations are for reference purposes only and not the representations of the Listing agent or brokerage Whitetail Properties Real Estate LLC. Illustrations are provided by Land ID. Parties should be advised to confirm Illustrations with licensed professional service providers.
Based on current rates
Est. 6.75% rate · 30yr fixed · $63,920 loan
Full calculator →Key facts and listing details
Market data and value estimates
3 schools rated nearby
Cuba, NY, 14727
2 events
Local context around this listing
Cuba, NY • Allegany County
Nearby cities
Nearby zip codes
No obligation · Same-day response