Loading...

Markham, ON, L3P6V6 • Markham Village • York Regional Municipality
0.11 acLot
Waterfront Property
None
Demand and pricing signals for this listing
25 views
People checking out this listing
20 days on market
Recently listed
Lot
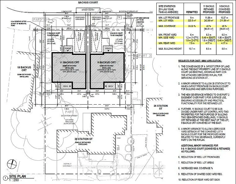
Don't miss this rare opportunity to develop a prime 73' x 67' lot in the City of Markham community of Old Markham Village / Raymerville. Perfect location for all builders, developers and end users too! This is an exceptional investment opportunity. This vacant lot offers the potential for future detached 2 storey homes or 2+ storey Triplex utilizing maximum height allowance, buyer due diligence is required for planned development. Further opportunity potential to apply to the City of Markham for approval to sever the property. Conveniently located within walking distance to highly popular Markham Main Street, where you can enjoy quaint shops, numerous restaurants and community events and celebrations. Walking distance to GO Train offers commuters easy access to Downtown. This property comes with site plan approval and concept drawings available for building 2 detached homes. It is essential that buyers conduct their own due diligence regarding future development and services of the property. Now is the time to secure your investment in the thriving City of Markham and this prime location, a rare opportunity for the savvy investor in Prestigious Old Markham Village / Raymerville Community. Just Minutes to All Amenities and Go Transit!!
Based on current rates
Est. 6.75% rate · 30yr fixed · $631,200 loan
Full calculator →Key facts and listing details
1 category of property features
Market data and value estimates
Markham, ON, L3P6V6
Local context around this listing
Markham, ON • York Regional Municipality
Nearby neighborhoods
Nearby cities
Nearby zip codes
IDX information is provided exclusively for consumers’ personal, non-commercial use, that it may not be used for any purpose other than to identify prospective properties consumers may be interested in purchasing, and that data is deemed reliable but is not guaranteed accurate by the MLS®.
No obligation · Same-day response